www.riau12.com
Kamis, 16-Oktober-2025 | Jam Digital
16:00 WIB - Empat Proyek Tol Strategis di Riau Tetap Lanjut di Era Presiden Prabowo, Siap Perkuat Konektivitas Sumatera | 15:52 WIB - Skuad Nasional Senam Indonesia Siap Tampil di Kejuaraan Dunia dengan Tiga Atlet Riau | 15:42 WIB - Konflik Lahan di Kuansing, Masyarakat Pucuk Rantau Dinilai Dirugikan oleh Perusahaan HGU | 15:34 WIB - Pemko Pekanbaru Perkuat Layanan di Akar Rumput, THL Bapenda Disebar ke Kecamatan | 15:09 WIB - Konflik Tapal Batas Bencah Kelubi Memanas, DPRD Kampar Keluarkan Empat Rekomendasi Tegas | 14:38 WIB - Kisah Lucu Nu’aiman bin Amr, Sahabat Nabi yang Bikin Rasulullah Tertawa Lepas
 
Index / Dunia

Kapal China Dipersenjatai Senapan Canggih
Rabu, 23-12-2015 - 12:10:15 WIB
TOKYO,Riau12.com-Petugas pantai Jepang pada hari ini melaporkan bahwa sebuah kapal penjaga pantai China yang dilengkapi senjata militer berupa empat senapan serbu canggih terlihat di dekat pulau-pulau sengketa di wilayah Laut China Selatan (LCS).Menurut laporan pihak petugas pantai Jepang, kapal penjaga pantai milik China itu terlihat seperti...(read more)

Aneh, Warga Negara Ini Suka Disuntik dan Diinfus
Selasa, 22-12-2015 - 23:20:11 WIB
...(read more)

China Miliki Rudal yang Dapat Hantam Target di AS
Selasa, 22-12-2015 - 20:13:25 WIB
WASHINGTON DC,Riau12.com-Badan Intelijen Amerika Serikat (AS) baru-baru ini mengungkap bahwa Pemerintah China pada bulan ini telah menguji rudal jarak jauh canggih bertipe DF-41, dan berbasis kendaraan bergerak yang bisa menghantam target-target di wilayah AS.Seorang pejabat pertahanan AS kepada Washington Free Beacon, Selasa (22/12/2015),...(read more)

Parah, Di Belanda, Kursus Nyetir Boleh Dibayar dengan Seks
Senin, 21-12-2015 - 07:17:07 WIB
DEN HAAG,Riau12.com-Setelah melalui sejumlah diskusi dan pembahasan serius, terutama soal adanya pro dan kontra, pemerintah Belanda akhirnya membolehkan warganya melakukan pembayaran kursus belajar nyetir alias mengemudi dengan seks.Peraturan ini dikeluarkan oleh Menteri Transportasi Belanda, Schultz van Haegen bersama Menteri Kehakiman Belanda,...(read more)

Seorang Ibu di California Tega Panggang Bayinya Hidup-Hidup
Minggu, 20-12-2015 - 12:17:49 WIB
CALIFORNIA,Riau12.com-Seorang ibu muda di Sacremento, California, Amerika Serikat (AS), bernama Ka Yang, 34, dihukum penjara seumur hidup, kemarin. Ibu itu mengaku membunuh bayinya dan memanggangnya di Microwave selama lima menit pada Maret 2011.Bayi perempuan bernama Mirabelle Thao-Lo itu baru berusia satu bulan. Ka Yang dinyatakan bersalah pada...(read more)

Tak Dicintai, Puluhan Jomblo di Jepang Protes Perayaan Natal
Minggu, 20-12-2015 - 06:19:31 WIB
...(read more)

Akhirnya, Malaysia Mau Gabung Koalisi Pimpinan Saudi
Sabtu, 19-12-2015 - 16:24:05 WIB
KUALA LUMPUR,Riau12.com-Setelah mengaku kebingungan karena negaranya tiba-tiba dimasukkan dalam koalisi anti-teroris baru pimpinan Pemerintah Arab Saudi, Malaysia kini menyatakan resmi bergabung dengan koalisi yang terdiri dari 34 negara-negara Islam itu.Laporan tersebut disampaikan Menteri Pertahanan (Menhan) Malaysia, Hishammuddin Tun Hussein...(read more)

Duh, Pria Ini Ceburkan Bugatti-nya demi Asuransi Rp8,3 Miliar
Sabtu, 19-12-2015 - 08:01:53 WIB
TEXAS,Riau12.com-Seorang pria di Texas, Amerika Serikat (AS) bermaksud untuk melakukan penipuan asuransi. Ia pun melajukan mobil Buggati seharga USD1 Juta miliknya dengan kecepatan tinggi hingga nyebur ke laguna (danau di pinggir laut).Nahas, taktik cerdiknya terekam oleh seorang pengemudi yang kebetulan mengagumi mobil sport-nya. Video itu...(read more)

Remaja yang Memukul PM Spanyol Dipenjara
Jumat, 18-12-2015 - 09:42:15 WIB
PONTEVEDRA,Riau12.com-Remaja usia 17 tahun yang memukul Perdana Menteri (PM) Spanyol di wajahnya telah dikirim ke penjara anak-anak pada Kamis 17 Desember 2015.Insiden pemukulan ini terjadi pada Rabu 16 Desember, ketika PM Mariano Rajoy sedang melakukan kampanye di Kota Pontevedra, Galicia, Spanyol. Mendadak remaja laki-laki ini mendekati dan...(read more)

Presiden Amerika Jual Senjata Senilai Rp25,3 Triliun ke Taiwan
Kamis, 17-12-2015 - 15:54:54 WIB
WASHINGTON DC,Riau12.com-Pemerintahan Presiden Barack Obama secara resmi telah memberi tahu Kongres AS bahwa Negeri Paman Sam siap menjual paket senjata untuk Taiwan dengan nilai kontrak sebesar USD1,8 miliar atau sekira Rp25,3 triliun.Paket senjata untuk Taiwan itu termasuk dua frigat, rudal antitank, kendaraan tempur amfibi, dan peralatan tempur...(read more)

Alasan Terjatuh, Miliuner Saudi Bebas dari Tuduhan Pemerkosaan
Kamis, 17-12-2015 - 10:00:17 WIB
LONDON,Riau12.com-Seorang miliuner asal Arab Saudi dibebaskan dari tuduhan melakukan tindak pemerkosaan terhadap gadis berusia 18 tahun. Dia mengaku terjatuh dan tidak sengaja melakukan penetrasi seksual terhadap gadis tersebut.Ehsan Abdulaziz sebelumnya dituduh melakukan pemerkosaan terhadap gadis remaja di apartemennya di Maida Vale, London...(read more)

9,5 Tahun Penjara Vonis untuk Penghina Kerajaan Thailand di Facebook
Rabu, 16-12-2015 - 19:33:33 WIB
BANGKOK,Riau12.com-Pengadilan Thailand menjatuhkan hukuman 9,5 tahun penjara atas seorang perempuan karena menghina kerajaan di Facebook.Perempuan yang diidentifikasi sebagai Chayapha itu awalnya ditahan dan didakwa menghasut karena pesannya di Facebook yang menentang pemerintahan militer.Dia ditangkap pada bulan Juni dan karena mengaku bersalah,...(read more)

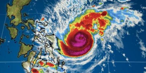
Topan Melor Terjang Filipina, Empat Tewas Ribuan Mengungsi
Rabu, 16-12-2015 - 06:58:35 WIB
SAMAR,Riau12.com-Topan Melor yang menerjang wilayah Filipina, hingga saat ini setidaknya sudah menewaskan empat orang, dan membuat ratusan ribu warga mengungsi.Topan Melor yang membawa angin dan hujan deras sudah mulai memasuki wilayah kepulauan di Filipina, semenjak Senin 14 Desember 2015 menyebabkan transportasi yang terputus serta pemadaman...(read more)

Terlahir Sakit Langka, Bocah di Inggris Dijuluki Pinokio di Kehidupan Nyata
Selasa, 15-12-2015 - 13:45:45 WIB
WALES,Riau12.com-Bocah balita berumur 21 bulan di Inggris terlahir dengan kondisi sakit langka, di mana otak tumbuh membentuk "kantung" yang membuat hidungnya membengkak dan memanjang. Ibu balita itu menganggap balitanya sebagai "Pinokio di kehidupan nyata,"Balita bernamaOllie Trezise itu mengalami sakit langka yang oleh dunia...(read more)

Isu Perselingkuhan Kim Jong-un Batalkan Konser Girlband Korut
Selasa, 15-12-2015 - 06:22:02 WIB
PYONGYANG,Riau12.com-Pemimpin Korea Utara (Korut) Kim Jong-un diduga membatalkan konser girlband bentukannya, Morangbong di China, karena isu yang menyebutkan dirinya meniduri salah satu penyanyi.Sebelumnya, Morangbong dijadwalkan tampil dalam Beijing National Centre Performing Arts pekan lalu untuk memperkuat hubungan antara Beijing dengan...(read more)

<< First | < Prev | ... 80 | 81 | 82 | 83 | 84 | ... | 97 | Next > | Last >>

 
 
 
TERPOPULER
1 Anak SMA ini Mengaku Dengan "OM" atau "Pacar" Sama Enaknya, Simak Pengakuannya
2 Azharisman Rozie Lolos Tujuh Besar Seleksi Sekdaprov Riau, 12 Orang Gugur
3 Tingkatkan Pelayanan dan Tanggap dengan pengaduan masyarakat
Lusa, Camat Bukit Raya Lauching Forum Diskusi Online
4 Pemko Pekanbaru Berlakukan Syarat Jadi Ketua RT dan RW Wajib Bisa Operasikan Android
5 Inilah Pengakuan Istri yang Rela Digarap 2 Sahabat Suaminya
6 Astagfirullah, Siswi Di Tanggerang Melahirkan Di Tengah Kebun Dan Masih Memakai Seragam
7 Lima Negara Ini Di cap memiliki Tingkat Seks Bebas Tertinggi
8 Selingkuh, Oknum PNS Pemprov Riau Dipolisikan Sang Istri
9 Langkah Cepat Antisipasi Banjir, PU Bina Marga Pekanbaru Lakukan Peremajaan Parit-parit
10 Dosen Akper Mesum Dengan Mahasiswinya di Kerinci Terancam Dipecat
 
Pekanbaru Rohil Opini
Redaksi Disclaimer Pedoman Tentang Kami Info Iklan
© 2015-2022 PT. Alfagaba Media Group, All Rights Reserved